04183 936 000 Montag bis Freitag | 9-17 Uhr
Wohnen
Kauf
Grundstück
Neu
Exklusiv

Wunderschönes Baugrundstück in Bendestorf

Objektbeschreibung

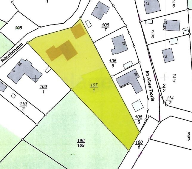
Zum Verkauf steht das vordere Grundstück (ideelle Teilung gemäß WEG). Die Vermessung wurde bereits durchgeführt, die Teilung ist erfolgt. Der Abriss des Bestandsgebäudes ist bereits abgeschlossen.

Die Bebaubarkeit ist mit einer GFZ von 0,2 und einer GRZ von 0,2 laut Bebauungsplan mit einer Wohnfläche von 165 m² gegeben. Zusätzliche 10 % wurde von der Gemeinde zugesagt.

An der Ostgrenze verläuft ein Bach. Um den Überlauf bei Starkregen zu verhindern, hat die Gemeinde Bendestorf vor Jahren auf öffentlichem Grund in große unterirdische Rohrleitungen investiert. Details sind bitte bei der Gemeindeverwaltung Bendestorf zu erfragen.

Die Baugrenzen im Bebauungsplan sind zu beachten.

Lage

Bendestorf, ein äußerst renommierter, malerischer Ort in der Nordheide, gehört zum südlichen Einzugsbereich Hamburgs. Bendestorf gehört der Samtgemeinde Jesteburg an und liegt direkt am Landschaftsschutzgebiet Kleckerwald. Die hügelige Landschaft, in der sich Waldflächen, Wiesen und Felder abwechseln sowie der gewachsene Ortskern mit seinen schönen Gebäuden und dem alten Eichenbaumbestand machen den besonderen Charme dieses Ortes aus. Zahlreiche Freizeiteinrichtungen, ein EDEKA Einkaufsmarkt, Bankautomat, Ärzte sowie Kindergärten, eine Krippe, Grundschule und Freibad sind vorhanden. Die weiterführenden Schulen in Jesteburg, Hittfeld und Buchholz werden mit dem Schulbus angefahren. Per PKW ist die Hamburger Innenstadt sowohl über die A1 (BAB-Anschlussstelle Hittfeld) als auch über die A7 (BAB-Anschlussstelle Ramelsloh oder Fleestedt) in ca. 30 Minuten zu erreichen. Mit der Bahn ist Hamburg gut über die Bahnhöfe in Buchholz, Klecken und Hittfeld zu erreichen.